Nacionales
-

El caso Yokairy Sosa llega al Tribunal Constitucional
Santo Domingo. – El abogado Jean Cristofer Pérez Lebrón, representante legal de Yokairy Julianny Sosa Asencio, depositó…
-

Presidente Abinader advierte sobre riesgos que enfrentan sociedades democráticas cuando los ciudadanos ceden libertades a cambio de comodidad
Al recibir premio “Champion of Freedom Award” aseguró que en su gestión, la República Dominicana…
-

El Gobierno acoge las exigencias del sector enfermería y queda levantado el paro nacional
Tras más de seis años de lucha y de acuerdos sin aplicación desde 2023, el Gobierno…
-

Abinader: Tres directores de Migración ante el foco público por el ingreso irregular de haitianos
La destitución de Alcántara por igual sucede apenas días después de que este reiterara que…
-

Agente policial ultima a un menor mientras perseguía a supuesto delincuente en Monte Plata
El joven fallecido fue identificado como Alexander Silva, de 17 años. Un segundo teniente de…
-

Embajada de Estados Unidos en RD trasladará el Centro de Atención de Visas de Galería 360
La entidad solicitó a todos los ciudadanos a mantenerse atentos a las informaciones que publicarán.…
-

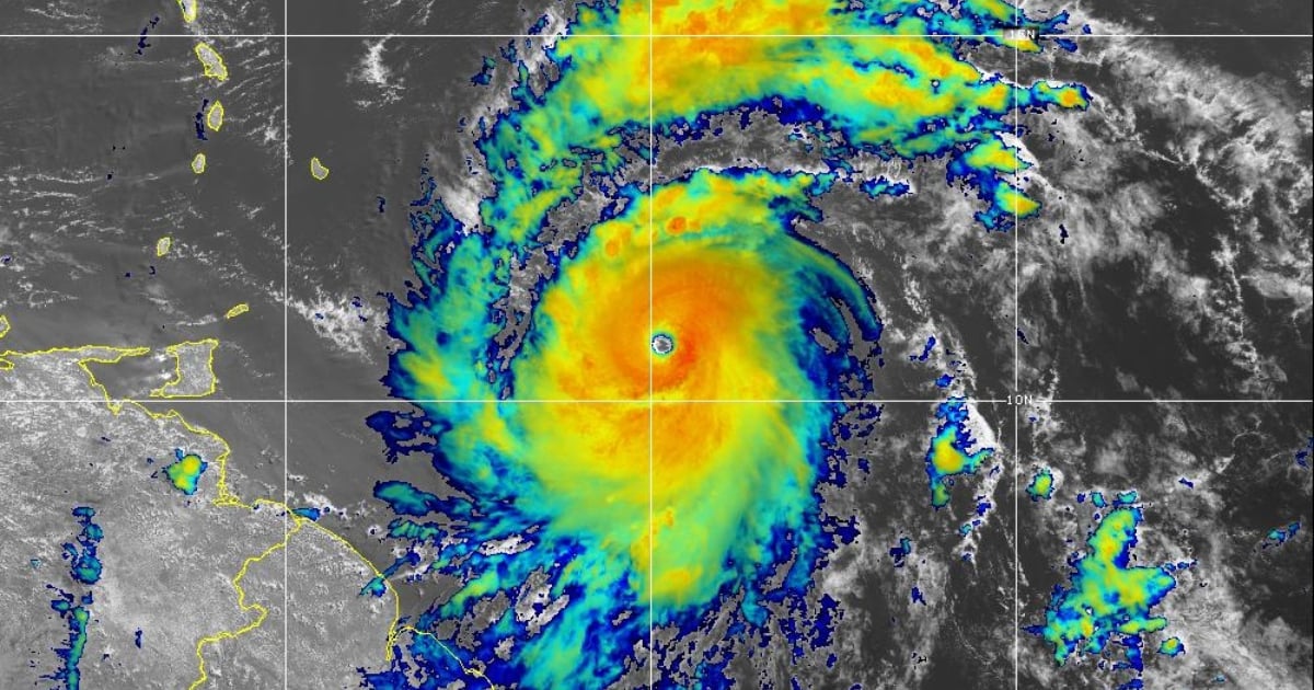
COE mantiene 24 provincias en alerta por huracán Beryl
En alerta verde están: Puerto Plata, Santiago, Elías Piña, Espaillat, Hato Mayor, Hermanas Mirabal y…
-

¿Deben o no eliminarse del sistema educativo las pruebas nacionales?
Julio 2024 Las razones para eliminar las Pruebas Nacionales en debate Actores del sistema…
-

Restablecen servicios del Teleférico Tras paso de Beryl
Teleférico de Santo Domingo Fue restablecido el servicio en ambos tramos de la Línea 1…
-

Cancelan vuelos y cruceros por el paso del huracán. Beryl azota turismo caribeño
American, Arajet y Avianca han sido algunas de las líneas afectadas Royal Caribbean, Norwegian…

Búsqueda
Artículos destacados
Nuestro director

Confesor Camilo Soriano
Director y fundador de TN Noticias. Periodista dominicano comprometido con la comunidad de Haina y San Cristóbal desde 2015.





